
DOB: 7-9-2015
70lbs
AKC# SR88927910
CHIC# NA
OFA HEART - CLEAR ( GR-BCA736/64M/P-VPI )
OFA EYES - CLEAR ( GR-EYE21836/64M-VPI )
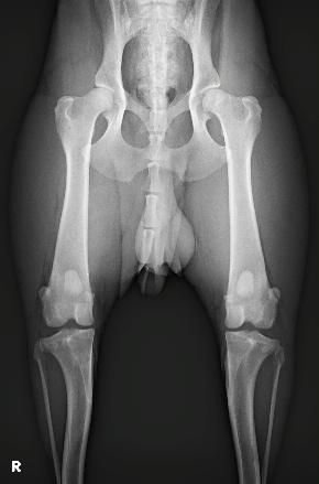
OFA HIP - (OFA)
OFA ELBOW - (OFA)
PRA1 - CLEAR (EMBARK)
PRA2 - CLEAR (EMBARK)
PRA-PRCD - CLEAR (EMBARK)
ICT - CLEAR (EMBARK)
DM - CLEAR (EMBARK)
THYROID- NORMAL
DNA RESPOSITORY- GR-DNA-4410/B


We have received excellent guidance and training from Georgia K9 to prepare us to visit patients at local hospitals.
Check out Pet Partners and see how you can get involved to volunteer in your community
We use cookies to analyze website traffic and optimize your website experience. By accepting our use of cookies, your data will be aggregated with all other user data.